Téléchargez le décret et le calendrier électoral révisés, publiés au journal officiel





iciHaïti - Technologie « […] les jeunes filles façonnent l’avenir numérique »

iciHaïti - Économie : Projet de coopérative pour des personnes handicapées

iciHaïti - Le Ministère du Tourisme salue la contribution exceptionnelle de la diaspora haïtienne

iciHaïti - Massacre à Jean Denis : Bilan partiel du CARDH, au moins 60 victimes (rapport)

iciHaïti - Justice : Non-respect des prix des carburants, des stations service sous scellés


+ de nouvelles


Zapping Haïti du 25 avril 2026

Vers une nouvelle doctrine des Forces Armées d’Haïti

Retour du P.M. en Haïti, bilan de sa visite officiel (vidéo)

Haïti - FLASH : Un incendie volontaire détruit le Jardin botanique des Cayes

URGENT : Vigilance Jaune - Risques d'intempéries en Haïti


+ de nouvelles



Haïti - FLASH : Matthew se rapproche, Haïti en vigilance rouge
02/10/2016 06:50:54

Haïti - FLASH : Matthew se rapproche, Haïti en vigilance rouge

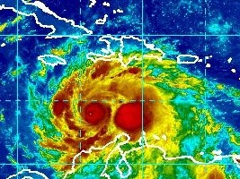
Ce matin à 5h00, le Centre National des Ouragan de la NOAA (National Oceanic and Atmospheric Administration), informe que l'ouragan Matthew, est situé à 555km au Sud Sud- Ouest de Port-au-Prince, 470km au Sud de Port-Salut et 525km au Sud de Dame-Marie.

L'ouragan de catégorie 4, a des vents maximums soutenus de 240 km/h, et se déplace actuellement vers le Nord-Ouest à 7 km/h. Les vents d'ouragan étendent s'étendent jusqu'à 25 miles (35 km) vers l'extérieur du centre et les vents de force de tempête tropical s'étendent vers l'extérieur jusqu'à 205 miles (335 km).

La combinaison d'une onde de tempête dangereuse et de grandes et destructrices vagues pourrait augmenter les niveaux d'eau au-dessus du niveau des marées normales de 6 à 9 pieds dans le Sud d'Haïti et de 3 à 5 pieds dans le Golf de la Gonâve.

Matthew devrait produire au total des accumulations de pluie de 15 (380 mm) à 25 pouces (635mm) sur le sud d'Haïti, avec de possibles quantités maximales isolés de 40 pouces (1016mm). Matthew devrait produire au total des accumulations de pluie de 10 (254mm) à 20 pouces (508mm) sur l'est de la Jamaïque, la République dominicaine et l'est de Cuba, avec de possibles montants maximaux isolés de 25 pouces (635mm). Cette pluviométrie produira des crues soudaines potentiellement mortelles et des coulées de boue.

Si Matthew continue sur sa trajectoire actuelle Haïti devrait commencer à ressentir plus fortement les effets de l'ouragan dans les 24 prochaines heures. Il devrait affecter le Sud, la Grand'Anse et les Nippes plus fortement, puis en remontant, l'Île de la Gonâve devrait en ressentir les effets, puis l'Ouest, l'Artibonite et avant de quitter le territoire, le Nord-Ouest...

Vigilance Rouge

Le son côté le Centre national de météorologie (CNM) d'Haïti informe que le pays est en Phase d'Alerte 1 (Vigilance Rouge), et que les cellules convectives associées au puissant Ouragan Matthew se renforcent de plus en plus et continuent à avancer sérieusement sur le pays. De plus, les rafales de vent ainsi que les conditions maritimes dangereuses, notamment sur la côte Sud demeurent de plus en plus importantes. Les menaces des fortes pluies orageuses et des coups de vents violents se confirment particulièrement pour les régions Sud du pays dans les prochaines 24 heures. Matthew possède une forte capacité pluviométrique allant de : 200 à 300mm en plaine et plus de 300mm sur les hauteurs. Ces cumuls de pluies durant le passage de l'ouragan Matthew entre Dimanche à Mardi risquent de provoquer des inondations sévères, des coulées de boues importantes et des crues éclaires sur tous le pays particulièrement sur les départements du Sud, des Nippes, de la Grande-anse, du Sud-est et de l'Ouest.

Mobilisation

Tout le gouvernement est mobilisé, ainsi que les forces de l’ordre pour évaluer la situation et coordonner rapidement les actions de réponse. Les comités régionaux de la protection civile sont aussi mobilisés pour venir en aide aux populations à risque, dont la collaboration est vivement souhaitée quant à l’application des consignes de sécurité. Les autorités accélèrent par ailleurs le déploiement de médicaments et de kits d'hygiène dans les zones les plus à risques.

La DPC a indiqué que dans le grand sud 576 abris provisoires sont disponibles et pourront accueillir jusqu'à 88.252 personnes pour une durée d'au moins 3 jours.

La Minustah va déployer ses effectifs en renfort et une équipe des Nations Unies pour l'évaluation et la coordination en cas de catastrophe (UNDAC) va arriver dimanche en Haïti pour immédiatement se déployer dans le Sud.

Opérations de cabotages interdites

Le SPGRD de concert avec Le CNM et le SEMANAH interdit toutes les opérations de cabotages sur les zones côtières du pays en particulier les côtes Sud et le Golf de la Gonâve jusqu'à nouvel ordre.

Consignes

- Restez à l'écoute des bulletins Météorologiques

- Suivez les consignes émises par les autorités locales.

- Mettez en lieu sûr les papiers importants.

- Préparez des kits alimentaires.

- Ne pas prendre la mer, éviter les plages et côtes, protéger les embarcations.

- Sécurisez tout ce qui peut être emporté par le vent et qui se trouve à l'extérieur de la maison : poubelle, outillage, affiches, lampes, décoratives, ampoules.

- Descendez tout objet lourd haut placé : antennes, enseignes...

- Se préparer à évacuer, les zones exposées aux inondations et glissements de terrain : (bords de mer, ravines, rivières, flancs des montagnes, etc...)

- Eviter les zones exposées aux inondations et glissements de terrain : (bords de mer, ravines, rivières, flancs des montagnes, etc...)

- Ne pas traverser les rivières en crues sous aucun prétexte.

- Ne vous abritez pas près des fenêtres et en zone boisée.

HL/ HaïtiLibre



Twitter Facebook Rss
Envoyer l'article à... Nouvelles du Jour...
Read in English


Réagissez à cet article
Pseudo :
Email :

Votre adresse email ne sera pas divulguée - Commentaire refusé si votre adresse email est fausse


0 caractères saisis. | 1500 caractères restants.
Avant de réagir lisez notre charte de modération


Dadi
Posté le 02/10/2016 10:59:42
Très bonne lecture météorologique. Je vous suit partout.. Merci pour les conseils. Bonne besogne, le Seigneur en tiendra compte.
michel V.
Posté le 02/10/2016 09:41:34
Je suis vivement interesse par les articles de HL, j'encourage tous ceux qui travaillent dans ce média a continuer de former et d'informer la population pour le plus grand bien de tous.
 




Pourquoi HaïtiLibre ? | Contactez-nous | Charte de modération | Privacy policy | English
Copyright © 2010 - 2026
Haitilibre.com -n