Haiti - FLASH : Matthew, Haiti is preparing for the impact - HaitiLibre.com : Haiti news 7/7
 Download the revised decree and electoral calendar, published in the official journal





Rep. Dominican - 22% increase in exports to Haiti in the 1st Quarter

End of mission for Kenya

Ouanaminthe : Launch of the «Konbit Haiti Zero Waste» Program

Funding : Haiti's intervention at ECOSOC (video)

Psychosocial support for the emotional well-being of students in Haiti


more news


Zapping Haiti of April 28, 2026

IDB satisfied with the progress made by the PAPAIR program in Haiti

Mission to Strengthen Social Protection in Artibonite and Northern Haiti

MonCash from Digicel Haiti, announces a strategic partnership with Capital Bank

Police officers demonstrate and sow panic in Delmas


more news


Haiti - FLASH : Matthew, Haiti is preparing for the impact
03/10/2016 20:36:24

Haiti - FLASH : Matthew, Haiti is preparing for the impact

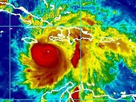
The departments of the Great South, Southeast, South, Grand Anse and Nippes are beginning to feel more strongly the effects of the Category 4 hurricane Matthew, rough sea, strong waves, gust of wind, of the rest of country showers, moderate rainfall and winds are recorded. Knowing that the center of Matthew is located 215 km south of the coast of Haiti (Port-Salut) and that the storm winds extend up to 295 km from the center the caution is required in the southern coastal areas.

However, according to the latest information and the current trajectory, the center of Matthew will approach the South East of Haiti tonight, bringing wind and rain in large quantities.

Currently (7pm) the center of the Category 4 hurricane Matthew, is located 325 km South-West of Port-au-Prince, 215km south of Port-Salut , 315km South-West of Jacmel.

Matthew moves towards the North-North East at 13km/h (therefore closer to Haiti) at turn back toward the north at a faster forward speed is expected later tonight through Tuesday night. A turn toward the north-northwest is forecast on Wednesday.

On the forecast track, the center of Matthew will approach southwestern Haiti tonight, move near eastern Cuba late Tuesday (The Northwest region of Haiti may be affected), and move near or over portions of the southeastern and central Bahamas Tuesday night and Wednesday.

Maximum sustained winds remain near 140 mph (220 km/h) with higher gusts. Some fluctuations in intensity are possible during the next couple of days, but Matthew is expected to remain a powerful hurricane through Wednesday.

Hurricane-force winds extend outward up to 40 miles (65 km) from the center and tropical-storm-force winds extend outward up to 185 miles (295 km).

The National Meteorological Centre (CNM) of Haiti recalls that Matthew could bring an Accumulation from 300 to 600 mm of rain in the South of the country, therefore, the risk of severe flooding accompanied by mudslides and cases of coastal flooding are still evident throughout the country with a higher intensity for the South coast.

NOAA for its part states that the South of Haiti could receive from 15 (380 mm) to 25 inches (635mm) of rain, and up to 40 inches (1016 mm / 1 meter) in isolated locations.

Maritime conditions are and remain extremely dangerous with waves that can reach 10 feet or 3 meters.

Evacuation

Balance of COUN until 4h30 p.m.

2049 people were evacuated to temporary shelters.

Grand'Anse: 642 evacuated

Nippes: 613 evacuated

South: 475 evacuated

Southeast: 319 evacuated

In West evacuation is initiated in Cité Soleil, Cité l’éternel and Warf de Jérémie

Material resources

The Ministry of Defence is ready to mobilize 100 soldiers from the Engineering Corps, 3 civil engineers as Supervisor, and also equipments, excavator, backhoe loader and one truck mobilized right away for 2 departments.

The National Centre of equipment, can mobilize 20 trucks, 2 loaders, 2 excavators.

The components of engineers of the Minustah is ready to support the Haitian authorities on request and in the mission capability.

Damages

The cities of Dame Marie and Bariadelle are flooded according to COUN. The cemetery of the town of Anse d'Hainault is already under the sea water. The commune of Roche à Bateau is flooded according to the mayor Fritznel Chery. In Les Cayes sea began to rise and invaded several steets of the city. 30 houses are flooded in Tiburon. One hundred houses have been damaged in Boucan Carré.

Health

The 10 departmental hospitals are open and emergency services will operate round the clock.

National Police mobilized

The National Police of Haiti is mobilized at the 10 departments to help out as part of the management activities of the Hurricane Matthew. It implements in a concerted manner with other relevant bodies, including the Directorate of Civil Protection, its contingency plan. The mobilization has intensified in all departments particularly at the southern peninsula, that is to say, in the departments of South, South-east of Grande-Anse, Nippes, more a good portion of the West. PNH awaiting instructions of COUN to carry out evacuations in areas at risk. 100 police officers in the West are available to secure the convoy.

PNH encourage everyone to call 114, 38381111, 38371111, 38361111 in case of need of police assistance.

Water

In the Southeast have been mobilized 20 technicians in water and sanitation of the DINEPA, through the 10 COUC.

SMS

Over 25 million SMS messages were sent, 6 million people were able to receive advice concerning the measures for the passage of Matthew.

Message of the First Lady

Nou tout wè oubyen konnen ki dega siklòn konn fè e ka fè, pandan nap priye pou dega yo pa twòp an’n pran tout prekosyon otorite yo mande nou pran yo; paske leta se nou, nou se leta.

Wòl pa nou se ede ou, akonpanye ou

òl pa ou kòm sitwayen se pèmèt nou ede ou, kolabore ak nou pou nou bay rezilta

- Si ou rete bò lanmè, bó ravin fòk ou deplase vit pa fè tèt di

- Byen materyèl se pa sa pou jere nan moman sa, vi ou pi enpòtan, men pandan wap deplase siw gen tan pase men pran pyès enpòtan ou nou vle pale de batistè ou, paspò ou e latriye….

- Wap bezwen manje, dlo, flash, pil, kit ijans menm e pa bliye.. telefòn ou se paw men fòk ou itilize li lew bezwen sèlman, sere ti chaj ou, siw angaje li ka itil ou pou rele mande èd.

Emergency number

PNH 114/122 ou 3838-1111

Ambulance 116

Red Cross 118

BPM 188

EDH 2212-2212

Firefighter 2945-1111 ou 115

OAVCT 2942-1309

For any emergency during Hurricane Matthew, only in case of emergency if you have information about people who are in urgent need of rapid assistance, please contact quickly the resources of the Centre for Departmental Emergency Operation, which are responsible for the Civil Protection cells in the country :

Moise Jean-Pierre Central Coordinator Civil Protection Emergency 48980453 (Port-au-Prince)

Nadia Lochard 48980305 (West)

Jean Henri-Petit 48980306 (North)

Faustin Joseph 48980319 / 33734496 (Upper Artibonite)

Luckecy Mathieu 48980318 (Lower Artibonite)

Ronald Delice 48960565 / 48409696 (South East)

Rethone Jose 48960564 (North West)

Raymonde Jourdain 48980310 (Centre)

Fidele Nicolas 48980309 (Nippes)

Sylvera Guillaume 48980308 (Grand-Anse)

Tony Denis 48980307 (North East)

See also :

https://www.haitilibre.com/en/news-18807-haiti-flash-hurricane-matthew-first-victims.html

HL/ HaitiLibre



Twitter Facebook Rss
Send news to... Daily news...




Why HaitiLibre ? | Contact us | Français
Copyright © 2010 - 2026
Haitilibre.com